Belize’de 31 Ekim 1961'de yaşanan Hattie kasırgası öylesine dehşet vericiydi ki, ölümlere ve büyük hasarlara yol açan en yıkıcı kasırgalardan biri oldu. Şehir, bir fırtınayla dümdüz oldu. Yüzlerce ölüm, fabrikaların hasarı, mahsullere gelen zarar…
Erkenden yapılan detaylı uyarılara ve ön hazırlıklara rağmen Hattie kasırgası, büyük yıkımlara yol açtı. Yalnızca Belize’den değil Amerika’nın bazı eyaletlerinden bile hissedilebilen kasırga, en yıkıcı etkiyi Belize şehrinde bıraktı. Hazırsanız Hattie kasırgasının nasıl başladığına, nasıl devam ettiğine, nasıl son bulduğuna ve ortaya çıkardığı yıkımların detaylarına göz atalım.
Temelden başlayalım, Belize tam olarak neresidir?

Belize, Orta Amerika’nın kuzeydoğu kıyısında yer alan bir Karayip ülkesidir. Hem Orta Amerika hem de Karayip ülkesi olarak değerlendirilir aslında. Batı ve güneyinde Guatemala, kuzeyinde Meksika, doğusunda Karayip Denizi bulunnur. Nüfusu ise 420.000 civarındadır.

İlk zamanlarda Maya topraklarının parçası olan ülkenin tarihi zengin olduğu için farklı dil ve kültür özelliklerini içinde barındıran karışık bir topluma ev sahipliği yapar. Üstelik Orta Amerika’da resmî dili İngilizce olan tek ülkedir, İngilizce temelli bir dil olan “Belize Kreolü”, halkın üçte biri tarafından konuşulur. Ülkenin karasal ve sucul tür zenginliği de ekosistem çeşitliliğini sağlar.
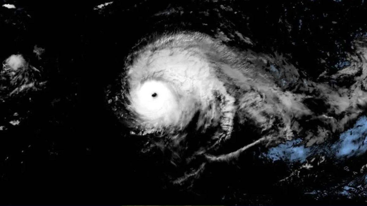
1961 senesinde ülkede bir kasırga meydana geldi: “Hattie kasırgası”

Hattie kasırgası, Karayip Denizi’nde yavaş yavaş gelişen bir alçak basınç bölgesinde başladı ilk olarak. Sezonun dokuzuncu tropikal fırtınası ve yedinci kasırgasıydı. Atlantik kasırga sezonunda oluşan en ölümcül kasırgalardan biri olacaktı devamında. Fırtına, San Andres Adası üzerinden kuzeye doğru hareket ederek büyüdü ve saatte hemen hemen 130 km hızla ilerledi. Bu güçlü ilerleyiş, kasırgaya dönüşeceğinin işaretiydi.
Pek çok ada ve hatta Florida eyaleti, artan rüzgârları hissetmişti. Günlerce süren fırtına, 31 Ekim’de Belize şehrinden sonra Guatemala dağları çevresinde tamamen dağılarak son bulabildi. Ancak Belize’nin merkezi Belize şehrinde yarattığı tahribatlar inanılmaz derecede kötüydü.
Hattie kasırgasının geleceğine dair önceden uyarı yapılmıştı.

Miami Hava Durumu Bürosu, hızlıca ayrıntılı uyarılarda bulundu ve bölgeyi fırtınaya hazırlamak için bolca zaman verdi. Güneybatı Karayipler’in büyük bir kısmının şiddetli yağmur ve ani su baskınlarına karşı hazırlıklı olması konusunda uyarıldı. Jamaika ve Küba vatandaşlarına, alçak bölgeleri tahliye etmeleri söylendi. Küçük gemiler ise denizde kalmamaları gerektiği konusunda uyarıldı.
Belize şehri gibi pek çok riskli bölge, tahliye edilmeye çalışıldı ve insanlar kendilerine kalacak başka yerler aradılar. 1931 yılında en az 2000 kişiyi öldüren kasırgadan daha güçlü olmasına rağmen bu ön uyarı ve titiz hazırlık, yüzlerce insanın hayatının kurtulmasına sebep oldu ancak herkes o kadar şanslı değildi.
Hattie kasırgası kaybolmadan önce birçok adada gezdi.

Kasırga, çok sayıda yaralanmaya, ölüme ve milyonlarca dolar değerinde hasara neden oldu. İlk önce San Andres Adası’nda bir can aldı. Grand Cayman, Swan Adaları, Guatemala ve Honduras’ta da çok sayıda yaralanma ve ölüm meydana geldi. Turneffe ve Caye Caulker adaları tamamen sular altında kaldı. Bu bölgeleri hızla geçti ve Belize’ye güç toplamış bir şekilde geldi.
En az 30.000 kişiye ev sahipliği yapan Belize şehri, deniz seviyesindeydi. Hattie kasırgası, iç bölgelere doğru devam ettikçe yüksek dalgalar ve fırtına şehri sarstı hâliyle. Rüzgârın saatteki hızı en az 161 km civarındaydı ve sahilden gelen dalgaların boyutu üç katına çıkmıştı. Fırtına, elektriği kesti, ahşap evlerin neredeyse hepsini yok etti, mahsullere zarar verdi, ağaçları devirdi, çatıları uçurdu… Belize şehrindeki evlerin yarısından fazlası hasar gördü ve binlerce kişi evsiz barksız kaldı. Ayrıca hükûmet binaları ve fabrikalar da kalıcı hasar aldı.
Hattie kasırgasının Belize’de yarattığı yıkım içler acısıydı.

Her şey bittiğinde bölge düzleşmişti, çamur ve döküntülerle kaplanmıştı. 400 kişiden fazla vatandaş, kasırgada hayatını kaybetti. Ayrıca ortaya $60.000.000 değerinde bir zarar çıktı. Hattie kasırgasının ardından Belize şehri sıkıyönetim ilan etti. Su baskınları ve çamur sebebiyle yollar, günlerce kullanılamadı.
Hastalıklar da yayılıyordu, etrafta cesetler yüzüyordu. Doktorlar, hastalığın yayılmasını engellemek için günde 12.000 kişiye aşı yapmıştı. Cesetleri ise hükûmet emriyle topluca yakmak zorunda kaldılar. Belize’nin farklı şehirlerindeki insanlar, Belize şehrinde kalanlara malzeme yardımında bulundu. Amerika Birleşik Devletleri ve Kanada’nın da insan gücü ve gıda yardımı oldu. Kasırgadan sonraki gün en az 20 kişi tutuklandı. Yağmayı durdurmak ve düzeni sağlamak için Jamaika’dan yaklaşık 200 İngiliz askeri geldi.
Belize şehrinde kalan insanların yaşadığı bölgeye “Hattieville” dendi.

Yardımlar sayesinde evsiz insanlar birkaç kilometrelik bir alanda çadır kent kurdular. Birkaç ay sonra ise normal konutlar kuruldu ve bölgeye “Hattieville” adı verildi. Belize’deki tek merkezi hapishaneye ev sahipliği yapan Hattieville’de hâlâ binden fazla insan yaşıyor.
Şehir yeniden inşa edilirken hükûmet yetkilileri şehri daha yüksek bir yere taşımaya karar verdi. Şehrin taşındığı Belmopan bölgesi 15.000’den fazla insana ev sahipliği yapıyor ve deniz seviyesinden en azından 60 metre yükseklikte.
Bu yeni konum, endüstriyel fırsatları da beraberinde getirdi ve gelecekteki fırtınalara karşı nispeten daha iyi koruma sağladı. Yine de Belize’de yaşayan insanların 1961 yılında başına gelen korkunç kâbus, hiçbir zaman unutulmadı. Hattie, dünyanın en yıkıcı kasırgalarından biri olarak tarihe geçti.
Hattie kasırgası, farklı türde ve farklı yerde yaşanan bir doğal afet olsa da eminiz ki bu içeriği okuyan herkesin aklına geçtiğimiz yıl ülkemizde yaşanan yıkıcı deprem felaketi geldi. Yeri gelmişken depremde hayatını kaybedenleri rahmetle andığımızı ve geri kalan ailelere sabır dilediğimizi tekrardan buradan iletelim…


