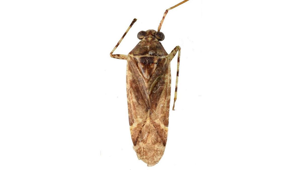
Fırat Üniversitesi'nden Prof. Dr. İnanç Özgen, Ege Üniversitesi'nden Prof. Dr. Serdar Tezcan ve Hacettepe Üniversitesi'nden Tıp Fakültesi öğrencisi Barış Çerçi, Mardin'de yer alan kiraz bahçelerinde yeni bir böcek türü keşfettiler. İnanç Özgen tarafından yapılan çalışmalar sayesinde böceğin cinsinin "Phytocoris" olduğu anlaşıldı. Keşfedilen yeni böceğe, Serdar Tezcan'ın tavsiyesi ile eski Tarım Bakanlarından Nihat Şevket İyriboz'un ismi verildi.
Phytocoris iyribozi olarak isimlendirilen böcek, bir yarım kanatlı ve tahtakuruları familyasında bulunuyor. İzmir'deki Lodos Entomoloji Müzesi'ne (LEMT) götürülen böcek örnekleri, burada yapılacak incelemeler sayesinde detaylandırılmış olacak. Örneğin bu böceğin beslenme alışkanlıklarının nasıl olduğu, yapılacak çalışmalardan sonra ortaya çıkacak.
Zararlı olup olmadığı bilinmiyor

Konuyla ilgili açıklamalar, Prof. Dr. İnanç Özgen tarafından yapıldı. Özgen, konuyla ilgili olarak, "Bu yeni bir tür, dünyada ilk defa tespit edildi, Mardin´in Ömerli ilçesinde kiraz bahçelerinde bulundu. Türün zararlı veya faydalı olduğu yönünde herhangi bir kaydımız yok. Türün erkeği ve dişisi İzmir Lodos Entomoloji Müzesi'nde saklanıyor. Bu türün bizim için en onur verici yönü; Tarım Bakanı olan, ülkemiz tarımına ve zirai mücadele enstitülerinin açılmasına katkıda bulunan Nihat Şevket İyriboz adına isimlendirilmesi. Bu türün yayını Zoology in the Middle East dergisinde yayınlandı. Ülkemize hayırlı olsun." ifadelerini kullandı.
Nihat Şevket İyriboz kimdir?

Asıl mesleği ziraat mühendisliği olan Nihat Şevket İyriboz, 9. dönemde Tarım Bakanı olarak görev aldı. İzmir Bornova Zirai Mücadele Enstitüsü'nü de kuran İyriboz, bu enstitü ile Türkiye'de bir ilki gerçekleştirmiş oldu. Tahıl ve asma hastalıkları konusunda çok önemli çalışmalar yapan bilim insanı, "Megamecus Shevketi Marshall" olarak isimlendirilen asma parazitini keşfetti ve bu parazitin bilimsel ismini veren kişi oldu.